Theo thông tin phản ánh, cầu dân sinh tại tiểu khu 34 (xã Đông Sang) được triển khai xây dựng từ tháng 2/2019. Thế nhưng, trong quá trình thi công , người dân phát hiện và nghi ngờ công trình của BQL Dự án đầu tư xây dựng Mộc Châu có nhiều sai phạm như: thi công không đúng theo bản thiết kế, trụ cầu chỉ có bê tông mà không có cốt thép, việc điều chỉnh nắn dòng chảy không theo dòng suối cũ mà “chỉ thẳng” vào đất thổ cư của các hộ gia đình nằm dọc bên dòng suối Mon trong khi diện tích lòng suối cũ còn thừa hàng chục mét...
![]() |
| Người dân tiểu khu 34, xã Đông Sang phản ánh về việc thi công cây cầu có nhiều dấu hiệu sai phạm. |
Là hộ gia đình “ảnh hưởng” trực tiếp tại công trình cầu dân sinh này, ông Hà Văn Thiết (tại tiểu khu 34 xã Đông Sang) bức xúc: “Việc xây dựng cầu dân sinh đi qua suối Mon là vì mục đích chung nên chúng tôi rất đồng tình, ủng hộ.
Thế nhưng, không hiểu vì sao đơn vị thi công lại nắn chỉnh dòng chảy theo hướng thẳng vào đất thổ cư của nhà tôi. Trong khi đó, diện tích lòng suối cũ còn thừa rất nhiều.
Nếu đơn vị thi công trong quá trình xây dựng theo đúng như suối cũ, nếu thiếu đất để xây dựng tôi sẵn sàng hiến 2-3 mét đất để việc xây dựng thuận lợi.
Quá trình thi công đơn vị thi công cũng không hề thông tin cho tôi biết về việc này. Cầu có 3 cửa xả thì 1 cửa đã bị đất nhà tôi chắn mất chỉ còn 2 cửa. Trước những gì đang diễn ra tôi đã phản ánh đến xã, gửi đơn lên huyện để yêu cầu giải thích. Thế nhưng tôi vẫn chưa nhận được câu trả lời của chính quyền địa phương”.
![]() |
| Ông Hà Văn Thiết cho rằng việc thi công cầu dân sinh có nhiều bất cập, sai phạm. |
Bà Nguyễn Thị Luyến, người dân tiểu khu 34 cho biết: “Vào mùa mưa chúng tôi rất khổ sở vì nước lũ dồn về mà cống thoát nước lại bé, nên thường xuyên bị ngập lụt mỗi khi mùa mưa đến.
Vì thế chúng tôi đã kiến nghị lên các cấp và rất là mừng khi huyện Mộc Châu có dự án xây dựng cây cầu này. Thế nhưng, chúng tôi không biết là bên thi công hay là bên thiết kế đã thiết kế cây cầu này chưa hợp lý, bởi vì khi cầu, cống thoát nước khi đi qua suối thì phải đi đúng dòng suối cũ, đi theo đúng cung đường nước của mương đầu trên.
Nhưng đây chúng tôi thấy hoàn toàn trái ngược với thực tế. Đến mùa nước lên sẽ xoáy sâu vào bên phần đất của hộ dân cạnh dòng suối Mon."
Bà Luyến còn phản ánh: "Trong quá trình thi công, khi chủ đầu tư bắt đầu đổ trụ cầu, điều đáng nói là phần dưới của trụ không có sắt mà tầm trên cùng lại có sắt thì chúng tôi không hiểu là thi công “ăn bớt” hay do bản thiết kế là như vậy, dù hỏi thì đơn vị thi công trả lời là có sắt, thế nhưng chúng tôi quan sát trong quá trình thi công các trụ cầu đều không thấy thanh sắt nào cả “tôi đã liên hệ trực tiếp với đồng chí Chủ tịch UBND huyện và được đồng chí “giải đáp” là theo thiết kế thì có sắt nhưng không hiểu sao đơn vị thi công lại không “sử dụng".
![]() |
| Bà Nguyễn Thị Luyến việc thi công cây cầu không có tính thẩm mỹ và chất lượng công trình không đảm bảo. |
Tương tự ông Nguyễn Chính Ái, bức xúc và cho rằng BQL Dự án đầu tư xây dựng Mộc Châu có nhiều sai phạm: “Công trình này không đảm bảo, tuổi thọ công trình sẽ không được lâu. Bởi từ dưới móng lên trên phần mặt là không có sắt, thép chỉ có bê tông không.
Chúng tôi không biết đơn vị thiết kế như thế nào, thế nhưng việc nắn chỉnh cửa thoát nước của cây cầu này không có tính thẩm mĩ, không đảm bảo an toàn, có 3 cửa thoát nước thì 1 cửa đã bị chắn bởi “nắn dòng” chỉ thẳng vào đất thổ cư của các hộ dân nằm ven suối. Hơn nữa việc đền bù giải phóng mặt bằng không thỏa đáng, lãng phí tiền của Nhà nước”.
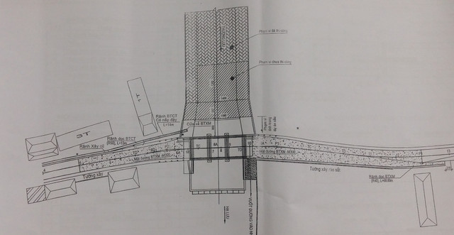
![]() |
| Theo như bản thiết kế mà PV có được. Việc "thiết kế một đằng, thi công một nẻo" đang khiến người dân xôn xao. |
Để làm rõ những phản ánh của người dân, PV đã đến làm việc với UBND xã Đông Sang để tìm hiểu và xác minh thông tin. Tại đây ông Phạm Văn Giang, Chủ tịch UBND xã cho biết: “Xã chưa nhận được phản ánh cũng như đơn nào từ của người dân, hiện tôi không thể trả lời phỏng vấn được bởi còn liên quan đến cơ quan quản lý Nhà nước là UBND huyện”.
Ông Giang lấy lý do theo chỉ đạo của huyện về phát ngôn nên từ chối trả lời.
![]() |
| Ông Phạm Văn Giang, Chủ tịch UBND xã Đông Sang cho biết "huyện chỉ đạo không được cung cấp thông tin cho cơ quan báo chí khi chưa có sự chỉ đạo từ huyện". |
PV tiếp tục đến liên hệ làm việc với UBND huyện Mộc Châu đề nghị được gặp chủ đầu tư là Ban QLDA đầu tư xây dựng huyện. Sau nhiều “khâu” PV mới được gặp Giám đốc Ban QLDA đầu tư xây dựng huyện Mộc Châu là ông Nguyễn Thế Nghĩa.
Ông này lấy lý do bận đi công trình, yêu cầu PV để lại nội dung kèm theo các yêu cầu về văn bản hành chính thì mới cung cấp thông tin. Trước sự bất hợp tác, gây khó khăn cho báo chí của Giám đốc Ban QLDA đầu tư xây dựng huyện Mộc Châu, Chủ tịch UBND huyện Mộc Châu - Phạm Đức Chính phải “giao việc” cho ông Nghĩa làm việc với PV.
![]() |
| Ông Nguyễn Thế Nghĩa, Giám đốc Ban QLDA đầu tư xây dựng huyện Mộc Châu luôn "tạo" khó khăn và có thái độ "bất hợp tác" với PV. |
Trả lời về phản ánh của người dân, ông Nghĩa “chia sẻ” chúng tôi làm đúng theo thiết kế và cũng không nhận được thông tin phản ánh bằng văn bản nào của người dân cả.
Khi PV đề nghị cung cấp hồ sơ thiết kế và các tài liệu liên quan bằng văn bản, Giám đốc Ban QLDA đầu tư xây dựng huyện Mộc Châu lại gây khó dễ bằng yêu cầu phải có công văn từ cơ quan báo chí.
Với cách làm việc của Giám đốc Ban QLDA đầu tư xây dựng huyện Mộc Châu - Nguyễn Thế Nghĩa, dư luận tiếp tục đặt ra nghi vấn về chất lượng công trình cũng như có hay không sự khuất tất trong dự án.








